Get the free PLANNING & DEVELOPMENT REPORT File: 7911-0184-00
Show details
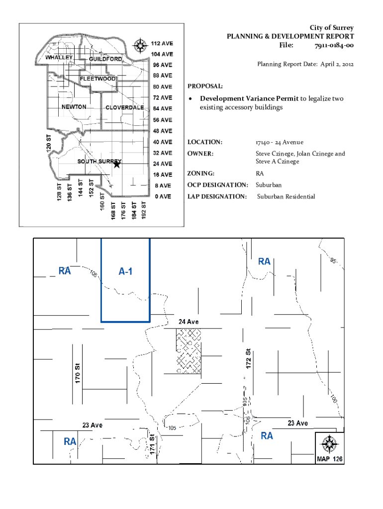
City of Surrey PLANNING & DEVELOPMENT REPORT File: 7911018400 Planning Report Date: April 2, 2012 PROPOSAL:Development Variance Permit to legalize two existing accessory buildingsLOCATION:17140 24
We are not affiliated with any brand or entity on this form
Get, Create, Make and Sign planning amp development report
Edit your planning amp development report form online
Type text, complete fillable fields, insert images, highlight or blackout data for discretion, add comments, and more.
Add your legally-binding signature
Draw or type your signature, upload a signature image, or capture it with your digital camera.
Share your form instantly
Email, fax, or share your planning amp development report form via URL. You can also download, print, or export forms to your preferred cloud storage service.
Editing planning amp development report online
Use the instructions below to start using our professional PDF editor:
1
Create an account. Begin by choosing Start Free Trial and, if you are a new user, establish a profile.
2
Prepare a file. Use the Add New button to start a new project. Then, using your device, upload your file to the system by importing it from internal mail, the cloud, or adding its URL.
3
Edit planning amp development report. Rearrange and rotate pages, insert new and alter existing texts, add new objects, and take advantage of other helpful tools. Click Done to apply changes and return to your Dashboard. Go to the Documents tab to access merging, splitting, locking, or unlocking functions.
4
Save your file. Select it from your records list. Then, click the right toolbar and select one of the various exporting options: save in numerous formats, download as PDF, email, or cloud.
Uncompromising security for your PDF editing and eSignature needs
Your private information is safe with pdfFiller. We employ end-to-end encryption, secure cloud storage, and advanced access control to protect your documents and maintain regulatory compliance.
How to fill out planning amp development report
How to fill out planning amp development report
01
Begin by gathering all the necessary information and documentation related to the planning and development project.
02
Start by filling out the basic details section, which includes the project title, client information, and date of the report.
03
Next, provide a brief overview of the project, including the purpose, objectives, and any relevant background information.
04
Moving on, detail the planning process followed, including any research conducted, methodologies used, and stakeholders involved.
05
Outline the development strategies employed, such as the design, construction, and implementation plans.
06
Be sure to include any challenges or obstacles encountered along the way and explain how they were addressed.
07
Provide a comprehensive analysis of the potential impacts of the project, both positive and negative, and how they were mitigated.
08
In the conclusion section, summarize the key findings, recommendations, and future plans for the project.
09
Review the report for accuracy, clarity, and completeness before finalizing it.
10
Once reviewed, allocate the necessary resources to share the report with relevant stakeholders.
Who needs planning amp development report?
01
Planning and development reports are typically needed by various entities involved in a project, including:
02
- Government agencies and regulatory bodies to assess the compliance of the project with regulations and policies.
03
- Project managers and team members to document and communicate the progress and outcomes of the planning and development stages.
04
- Investors and financiers to evaluate the feasibility and potential returns of investing in the project.
05
- Legal advisors and consultants to ensure all legal requirements and permits are met.
06
- Community members and stakeholders to understand the potential impacts and benefits of the project on the surrounding area.
07
- Researchers and academics to study and analyze the planning and development approaches used in the project.
Fill
form
: Try Risk Free
For pdfFiller’s FAQs
Below is a list of the most common customer questions. If you can’t find an answer to your question, please don’t hesitate to reach out to us.
How do I make edits in planning amp development report without leaving Chrome?
Install the pdfFiller Google Chrome Extension to edit planning amp development report and other documents straight from Google search results. When reading documents in Chrome, you may edit them. Create fillable PDFs and update existing PDFs using pdfFiller.
How do I fill out planning amp development report using my mobile device?
Use the pdfFiller mobile app to complete and sign planning amp development report on your mobile device. Visit our web page (https://edit-pdf-ios-android.pdffiller.com/) to learn more about our mobile applications, the capabilities you’ll have access to, and the steps to take to get up and running.
How can I fill out planning amp development report on an iOS device?
Get and install the pdfFiller application for iOS. Next, open the app and log in or create an account to get access to all of the solution’s editing features. To open your planning amp development report, upload it from your device or cloud storage, or enter the document URL. After you complete all of the required fields within the document and eSign it (if that is needed), you can save it or share it with others.
What is planning amp development report?
A planning and development report is a document that outlines the plans and strategies for development projects, detailing objectives, resources, timelines, and expected outcomes.
Who is required to file planning amp development report?
Typically, developers, municipal planners, and organizations involved in significant development projects are required to file a planning and development report.
How to fill out planning amp development report?
To fill out a planning and development report, gather the necessary data, follow the provided guidelines or template, include all relevant details, and ensure compliance with regulatory standards before submission.
What is the purpose of planning amp development report?
The purpose of a planning and development report is to provide a comprehensive overview of development intentions, facilitate informed decision-making, and ensure transparency and accountability in the planning process.
What information must be reported on planning amp development report?
Information typically required includes project description, objectives, timelines, budget estimates, environmental impact assessments, and stakeholder consultations.
Fill out your planning amp development report online with pdfFiller!
pdfFiller is an end-to-end solution for managing, creating, and editing documents and forms in the cloud. Save time and hassle by preparing your tax forms online.
Planning Amp Development Report is not the form you're looking for?Search for another form here.
Relevant keywords
Related Forms
If you believe that this page should be taken down, please follow our DMCA take down process
here
.
This form may include fields for payment information. Data entered in these fields is not covered by PCI DSS compliance.